Refine Search

813 Pleasant Oak Road, Windsor, NC 27983

$13,600
  • 813 Pleasant Oak Road, Windsor, NC 27983 Main Photo

2 Total Photos [Click to View All]

Pending with Showings
LOT SIZE 0.610 acres MLS#100559617
STATUSPending with Showings PROPERTY TYPELand - Farm

Property Description

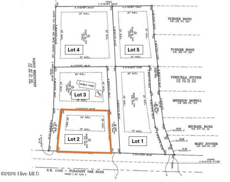
If you've been searching for land with space, flexibility, and rural charm, this .61-acre tract on Pleasant Oak Road offers a fantastic opportunity. With generous acreage, the property provides multiple options for a homesite while still leaving plenty of room for outdoor living, gardening, or recreational use. The combined sale of Lot 1 (MLS 100559623); Lot 2 (MLS 100559617); Lot 3 (MLS 100559571); Lot 4 (MLS 100559628); Lot 5 (MLS 100559633) can be found in the Parent MLS 100512221 - 4.03 acres.A septic permit is already on file, saving valuable time in the building process. A private well will be required. The property offers a peaceful country setting while still being conveniently located within driving distance of Windsor and nearby towns.Whether you're planning a custom home, country getaway, or long-term investment, this spacious parcel provides the freedom to bring your vision to life.

813 Pleasant Oak Road | MLS# 100559617

This land located at 813 Pleasant Oak Road, Windsor, NC 27983 is currently listed for sale with an asking price of $13,600. The property has approximately 0.61 Acres. Search Windsor real estate on charulpatel.century21thomas.com today.

Property Features

Property Type: Land - Farm
Lot Size: 0.61 Acres

Feature Descriptions

Days on Site: 37
Fencimg: See Remarks, None
Lot: Rural, Wooded
Parcel#: 5891-38-0108
Sewer: Septic Permit On File
Topography: Wooded
Water: None

Local Schools

High School: Bertie High School
Middle School: Bertie
Elementary School: Windsor Elementary School

Listed By / Shown By

Listed By

Agency Name: Keller Williams Realty
Agency Phone: 252-637-2010

Shown By

Agent Name: Charul Patel
Agent Phone: Cell: (843) 902-4762
Agency Title: CENTURY 21 Thomas

IDX logo

Estimate Your Payment

Estimated Payment

$ 34.23 per month $30.27 Principal & Interest $0.00 Property Tax (data not provided by mls) $3.97 Homeowner's Insurance

Change Payment Information

%
years/fixed
yearly
yearly (est.)
(Payments are an estimate and may vary by lender)

Login to My Homefinder

Pixel